एका रविवारी सकाळी निवांत बसले असताना एक सुंदर फुलपाखरू माझ्या बाल्कनीतल्या झाडांजवळ भिरभिरताना दिसले . ते कडीपत्त्याच्या झाडाजवळच जास्तवेळ घुटमळत होते . तेव्हा माझ्या लक्षात आले की त्याला अंडी घालायची आहेत. ( फुलपाखरे साधारणपणे कढीपत्ता किंवा लिंबाच्या झाडावर अंडी घालतात) . बाल्कनीला कबुतरांसाठी जाळी लावल्यामुळे फुलपाखरू पानांवर बसू शकत नव्हते . म्हणून मी हळूच ३ -४ डहाळ्या जाळीबाहेर काढल्या आणि लांबून बघू लागले . तेव्हा फुलपाखराने पानांमागे अंडी घातली अन् उडून गेले . आणि सुरु झाला एक सुंदर जीवनप्रवास !
मला अंड्यांचा फोटो काढता आला नाही कारण ती जाळीच्या बाहेर आणि पानांच्या मागे होती आणि मला त्यांना हलवायचे नव्हते . चार दिवसांनंतर अंडी उबून ५- ६ अळ्या ( सुरवंट ) बाहेर पडलेल्या दिसल्या . आता रोज सकाळ संध्याकाळी त्यांना पानांमधे शोधणे आणि त्यांचे निरिक्षण करण्याचा छंदच जणू लागला .


अळ्या कडीपत्याच्यी पाने खाऊन झपाट्याने वाढू लागल्या . पण काही दिवसांत फक्त दोनच अळ्या जिवंत राहिल्या आणि त्यांचे सुरवंट झाले . त्यांचा रंग बदलून काळसर तपकिरी झाला आणि त्यावर पांढर चट्टा दिसू लागला . शिकाऱ्यांपासून स्वतःचे रक्षण करण्यासाठी ते पक्ष्यांच्या विष्ठेसारखे दिसतात .

४-५ दिवसांनंतर ते हिरवे झाले, झाडावरील हिरव्या फांद्या आणि पानांवर मिसळून जाऊ लागले .

या स्टेजला सुरवंट खूप पाने खातात . पाने खाऊन ते खूपच गुबगुबीत सुंदर पोपटी दिसू लागले .


एका शनिवारी सकाळी मला दिसले की रात्री मुसळधार, वादळी पावसामुळे एक सुरवंट खाली पडला होता . आम्ही तो पुन्हा फांद्यांवर ठेवण्याचा प्रयत्न केला, पण यश आले नाही. शेवटी आम्ही त्याला पानांवर ठेवले. पण तो नाही जगू शकला . आता फक्त एकच सुरवंट होता आणि आम्ही आमची बोटे क्रॉस करून ठेवली.

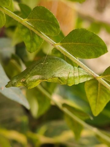
आता शेवटचा टप्पा म्हणजे कोष / प्यूपा . सुरवंट भरपूर खाऊन वनस्पतीच्या एका फांदीवर टांगून घेतात.

ते त्यांच्या तळापासून रेशमी धाग्याने फांदीवर जोडतात आणि फुलपाखरे होईपर्यंत तसेच राहतात. हा शेवटचा टप्पा होता आणि फुलपाखराचा उर्वरित विकास १0-१२ दिवसांत प्युपामध्ये होतो.


दहा दिवसांनी कोष थोडा काळा झाला , याचा अर्थ फुलपाखराचे पंख विकसित झाले होते आणि पुढील १-२ दिवसांत ते बाहेर पडेल. हा शेवटच्या रात्रीचा फोटो .

दुसऱ्या दिवशी सकाळी बघीतले तर विचार केला की ऑफिसला जायच्या आधी फुलपाखरू बघायला मिळेल का ? आणि मी नाष्टा बनवायला लागले . थोड्या वेळाने नाष्टा खाण्याआधी सहज बाल्कनीत नजर वळवली तर महाराज निवांत फांदीवर लटकून बसलेले दिसले !

आहा ! काय सुंदर दिसत होते ! त्याच्या पंखांच्या तळाशी केशरी ठिपके होते म्हणजे ती मादी फुलपाखरू होते . फुलपाखरू पंख सुकविण्यासाठी 1-2 तास फांदीवर विश्रांती घेते .

त्याच्यासाठी मी साखरपाण्यात स्पंज बुडवून एका वाटीत ठेवला आणि एक सफरचंदाची फोड पण ठेवली खाण्यासाठी . लेकीला त्याच्यावर लक्ष ठेवायला सांगून मी ऑफिसला आले . तासाभराने लेकीचा फोन आला की फुलपाखरू उडून गेले . एका कॉमन मॉरमॉनचे सुंदर आयुष्य सुरू झाले !

